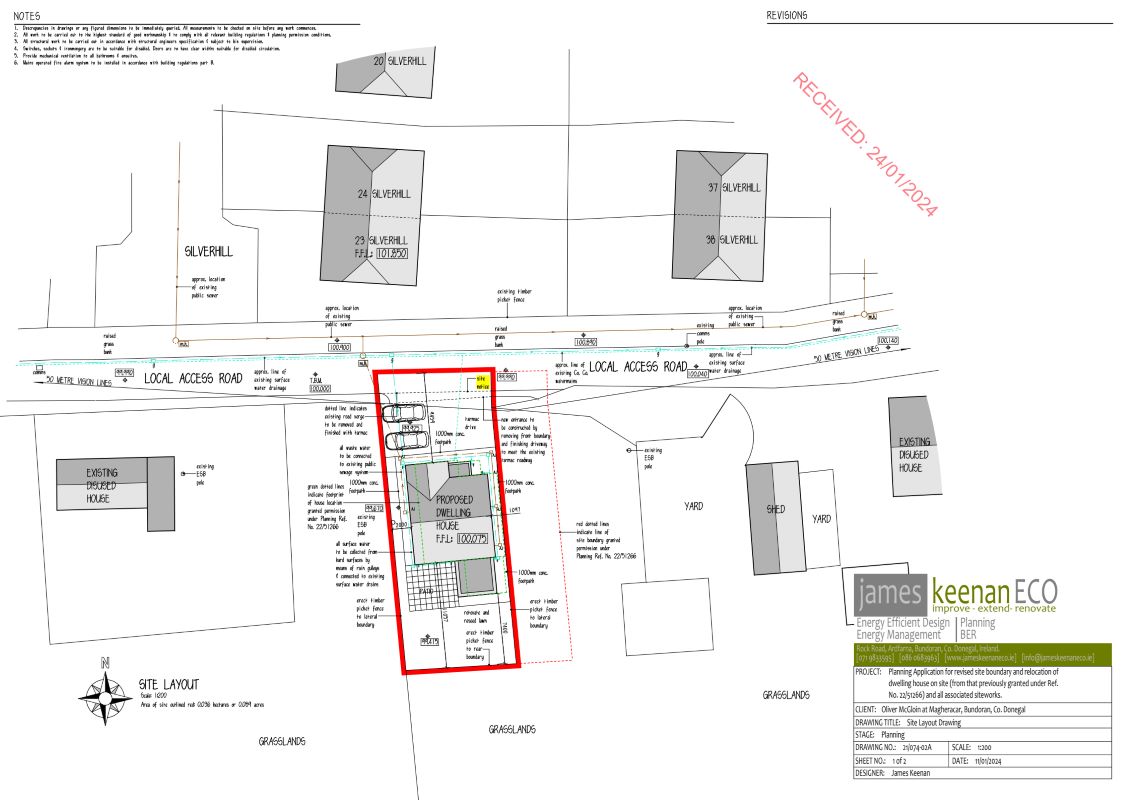
Lot 8 - Site at, Magheracar, Bundoran, County Donegal

  • Unconditional Online Auction Sale
  • AMV : €35,000
  • Site with Full Planning Permission
  • Planning Ref : 2460035
  • Convenient to All Local Amenities
  • Set in a Popular Coastal Resort With Blue Flag Beaches
  • View on Site at Anytime

Location

Magheracar, Bundoran, County Donegal, a highly regarded coastal setting on the Wild Atlantic Way. This area is well known for its dramatic sea views, sandy beaches, and vibrant holiday atmosphere.
Bundoran itself is one of Ireland’s best-known seaside resorts, offering a wide range of amenities including shops, restaurants, cafés, schools, and leisure facilities. The town is particularly famous for its surfing culture, golf course, and outdoor pursuits, attracting both visitors and permanent residents.
Magheracar enjoys a peaceful residential environment, while still being within close proximity to Bundoran town centre. The location provides easy access to the N15, with Sligo town approx. 30 minutes’ drive to the south and Donegal Town approx. 25 minutes’ drive to the north, ensuring excellent regional connectivity.
This sought-after location combines the tranquillity of coastal living with the convenience of town amenities, making it ideal for both family life and holiday use.

Description

Opportunity to Acquire a Building Site With Full Planning Permission in the Popular Seaside Resort of Bundoran.


* No information, statement, description, quantity or measurement contained in any sales particulars, or given orally, or contained in any webpage, brochure, catalogue, email, letter, report, docket or hand out, issued by or on behalf of BRG Gibson Auctions Ltd, or the vendor in respect of the property shall constitute a representation, or a condition or a warranty on behalf of BRG Gibson Auctions Ltd, or the vendor. Any information, statement, description, quantity or measurement so given or contained in any such sales particulars, webpage, brochure, catalogue, email, letter, report or hand out issued by or on behalf of BRG Gibson Auctions Ltd, or the vendor are for illustration purposes only and are not to be taken as matters of fact. Any mistake, omission, inaccuracy or mis-description given orally, or contained in any sales particulars, webpage, brochure, catalogue, email, letter, report or hand out issued by or on behalf of BRG Gibson Auctions Ltd, or the vendor shall not give rise to any right of action, claim, entitlement or compensation against BRG Gibson Auctions Ltd, or the vendor. All bidders must satisfy themselves by carrying out their own independent due diligence, inspections or otherwise as to the correctness of any and all of the information, statements, descriptions, quantity or measurements contained in any such sales particulars, webpage, brochure, catalogue, email, letter, report or hand out issued by or on behalf of BRG Gibson Auctions Ltd, or the vendor.

Loading the bidding panel...

Make an Enquiry

Submit an enquiry and someone will be in contact shortly.

 
*  
*  
*
*
*

Additional Documents

Share